Antena Căutare

Extern

Citeste cele mai noi stiri externe pe A1.ro. Afla primul stirile internationale de ultima ora din diaspora si intreaga lume. Fii la zi cu noutatile din presa.

Autoritățile din Florida întâmpină noi obstacole: se luptă să îi oprească pe americani să nu tragă focuri de armă în uraganul Irma

Autoritățile din Florida întâmpină noi obstacole: se luptă să îi oprească pe americani să nu tragă focuri de armă în uraganul Irma

Uraganul Irma naste situatii ilare.

Luni, 11.09.2017, 21:57
Americanii sunt în lacrimi. Astăzi rememorează cele mai sângeroase amintiri din istoria țării

Americanii sunt în lacrimi. Astăzi rememorează cele mai sângeroase amintiri din istoria țării

Au trecut 16 ani de la tragedia care a ingenuncheat poporul american

Luni, 11.09.2017, 14:51
Fiul unui cunoscut prezentator TV s-a sinucis din cauza unei greşeli făcute de tatăl său. Ce s-a întâmplat între cei doi

Fiul unui cunoscut prezentator TV s-a sinucis din cauza unei greşeli făcute de tatăl său. Ce s-a întâmplat între cei doi

Un celebru prezentator TV şi-a dat demisia în urma unui scandal incredibil, iar după câteva ore băiatul său, în vârstă de 19 ani, s-a sinucis

Luni, 11.09.2017, 09:14
Cinci români au murit și alți trei au fost răniți într-un accident produs lângă Viena!

Cinci români au murit și alți trei au fost răniți într-un accident produs lângă Viena!

Cinci cetățeni români au murit iar alți trei au fost răniți într-un accident care a avut loc lângă Viena, informează un comunicat de presă al MAE.

Duminica, 10.09.2017, 17:25
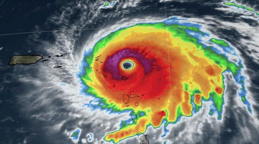
Peste 5,6 milioane de oameni au evacuat de urgență statul american Florida! Uraganul Irma face prăpăd

Peste 5,6 milioane de oameni au evacuat de urgență statul american Florida! Uraganul Irma face prăpăd

Uraganul Irma a fost avansat din nou la categoria 4 în timp ce se apropie de statul american Florida Keys, a anunțat duminică Centrul Național pentru Uragane (NHC) din SUA.

Duminica, 10.09.2017, 12:07
Mexicul a fost răvăşit de cel mai puternic cutremur pe care l-a resimţit în ultima sută de ani

Mexicul a fost răvăşit de cel mai puternic cutremur pe care l-a resimţit în ultima sută de ani

8,4 grade pe richter a avut seismul care a ucis, potrivit ultimului bilanţ, 32 de oameni, printre care şi copii. Produs în largul coastei mexicane, cutremurul a fost unul de mică adâncime. Oraşe întregi au fost distruse. Sunt 650...

Vineri, 08.09.2017, 21:22
Cutremur de 8 grade în Mexic! Mai multe alerte de tsunami au fost emise

Cutremur de 8 grade în Mexic! Mai multe alerte de tsunami au fost emise

Un cutremur cu magnitudinea 8 a avut loc în largul coastelor Mexicului, la o adâncime de 33 de kilometri.

Vineri, 08.09.2017, 08:34
Explozie puternică la Londra! Sute de persoane s-au panicat văzând norul de fum! Ce s-a întâmplat

Explozie puternică la Londra! Sute de persoane s-au panicat văzând norul de fum! Ce s-a întâmplat

O explozie a zguduit celebra stradă Oxford din Londra, stârnind panica printre persoanele aflate în zonă.

Joi, 07.09.2017, 22:43
Uraganul Irma a măturat Insulele Caraibe cu o viteză de 300 de kilometri pe oră și a depășit toate măsurătorile din istorie!

Uraganul Irma a măturat Insulele Caraibe cu o viteză de 300 de kilometri pe oră și a depășit toate măsurătorile din istorie!

Lumea e şocată după lovitura celui mai puternic uragan din istorie. Irma a măturat Insulele Caraibe cu o viteză de neimaginat: vânt de peste 300 de kilometri pe oră. Iar imaginile sunt cu adevărat cutremurătoare!

Joi, 07.09.2017, 19:15
Imagini adorabile din prima zi de școală a Prințului: George nu a avut parte de niciun tratament special

Imagini adorabile din prima zi de școală a Prințului: George nu a avut parte de niciun tratament special

Prințul George, al treilea în ordinea succesiunii la tronul britanic, a început joi școala, fără a putea fi însoțit în această zi festivă de mama sa, Kate, care suferă de hiperemeză de sarcină, informează AFP.

Joi, 07.09.2017, 14:29
Noua lege a Educaţiei din Ucraina restricţionează predarea în limba minorităţilor naţionale. Puii de români nu vor mai avea habar de limba părinţilor lor

Noua lege a Educaţiei din Ucraina restricţionează predarea în limba minorităţilor naţionale. Puii de români nu vor mai avea habar de limba părinţilor lor

Ministerul Afacerilor Externe transmite, joi, că "a luat notă cu îngrijorare" de noua lege a Învăţământului adoptată de către Rada Supremă a Ucrainei, spunând că, potrivit prevederilor Convenţiei-cadru pentru protecţia minorităţilor naţionale, statele se angajează să recunoască dreptul oricărei persoane aparţinând unei minorităţi naţionale de a învăţa în limba sa maternă.

Joi, 07.09.2017, 11:48
Casa Regală a făcut tristul anunț: „Suferă de o formă de demență. Nu mai recunoaște pe nimeni!”

Casa Regală a făcut tristul anunț: „Suferă de o formă de demență. Nu mai recunoaște pe nimeni!”

Soţul reginei Margrethe a II-a a Danemarcei, prinţul Henrik, de origine franceză, suferă de demenţă, a anunţat miercuri Casa Regală

Joi, 07.09.2017, 09:16
Ținuta Melaniei Trump pentru inundații? Tocuri cui și ochelari de aviator! Însă gestul ei pentru a ajuta victimele uraganului face înconjurul lumii

Ținuta Melaniei Trump pentru inundații? Tocuri cui și ochelari de aviator! Însă gestul ei pentru a ajuta victimele uraganului face înconjurul lumii

În pofida criticilor primite pe rețelele de socializare cu privire la ținuta aleasă de ea pentru a vizita locul dezastrului lăsat de trecerea uraganului Harvey - tocuri cui și ochelari de pilot - prima doamnă a SUA, Melania Trump, a ales să poarte din nou pantofi cu toc pentru a vizita victimele uraganului, relatează online ziarul spaniol ABC.

Joi, 07.09.2017, 08:32
Trei români aflaţi pe insula Saint-Martin, dispăruţi în urma uraganului Irma. MAE spune că a făcut demersuri pentru a verifica situaţia

Trei români aflaţi pe insula Saint-Martin, dispăruţi în urma uraganului Irma. MAE spune că a făcut demersuri pentru a verifica situaţia

Trei români sunt dispăruţi după ce uraganul Irma a măturat mai multe insule din Caraibe. Ei se aflau pe insula Saint-Martin, iar rudele nu mai reuşesc să ia legătura cu ei de mai bine de 10 ore.

Joi, 07.09.2017, 08:25
Lovitură de teatru. Au apărut rezultatele TESTULUI DE PATERNITATE.. Nu este fiica celebrului Dali!

Lovitură de teatru. Au apărut rezultatele TESTULUI DE PATERNITATE.. Nu este fiica celebrului Dali!

Testele ADN au demonstrat că Pilar Abel nu este fiica biologică a lui Salvador Dali, a informat miercuri Fundația Gala-Salvador Dali

Joi, 07.09.2017, 07:41
Panică generală! O fetiță de patru ani a murit de o boală care dispăruse în secolul trecut!

Panică generală! O fetiță de patru ani a murit de o boală care dispăruse în secolul trecut!

O fetiță de 4 ani a murit de malarie în Italia, în ceea ce pare a fi primul caz din 1962 în această țară care nu este provocat de contaminarea în urma unei călătorii într-o zonă de risc, relatează marți DPA. Șeful secției în care a fost internată fetița susține că modul în care ea a contractat boala este un mister

Miercuri, 06.09.2017, 09:10
Vestea care va afecta mii de români! Londra vrea să pună capăt liberei circulaţiei a muncitorilor după ce iese din UE

Vestea care va afecta mii de români! Londra vrea să pună capăt liberei circulaţiei a muncitorilor după ce iese din UE

Marea Britanie vrea să pună capăt liberei circulaţii a muncitorilor după ce iese din Uniunea Europeană şi să limiteze imigraţia europenilor slab calificaţi, potrivit unui document de lucru al Guvernului britanic publicat de ziarul britanic The Guardian, scrie AFP.

Miercuri, 06.09.2017, 08:24
Doliu în lumea literară. A murit unul dintre cei mai mari poeți ai planetei. John Ashbery s-a stins la 90 de ani!

Doliu în lumea literară. A murit unul dintre cei mai mari poeți ai planetei. John Ashbery s-a stins la 90 de ani!

John Ashbery, unul dintre cei mai mari poeţi americani ai secolului XX, a murit la vârsta de 90 de ani, în statul New York

Marti, 05.09.2017, 07:27
Au găsit găleţile astea in pereţii locuinţei! Când le-au deschis nu le-a venit sa creadă. "Nu pot să cred că am trăit cu aşa ceva lângă mine"

Au găsit găleţile astea in pereţii locuinţei! Când le-au deschis nu le-a venit sa creadă. "Nu pot să cred că am trăit cu aşa ceva lângă mine"

Luis Hernandez-Gonzalez și Salma Gonzalez, doi frați care locuiesc în Miami Beach au fost arestați după ce poliția a găsit peste 20 de milioane de dolari în pereții casei în care locuiau

Luni, 04.09.2017, 18:28
Stare de ALERTĂ! Un individ A INTRAT CU UN BOLID în coloana PREȘEDINTELUI sârb! Mașina îi aparține unui fotbalist celebru

Stare de ALERTĂ! Un individ A INTRAT CU UN BOLID în coloana PREȘEDINTELUI sârb! Mașina îi aparține unui fotbalist celebru

Trei persoane au fost arestate după ce au intrat cu un automobil de lux în coloana preşedintelui sârb, potrivit presei şi unor oficiali

Luni, 04.09.2017, 10:11
Bilanț înfiorător. 15 persoane RĂNITE DE FULGERE. Două sunt în stare gravă!

Bilanț înfiorător. 15 persoane RĂNITE DE FULGERE. Două sunt în stare gravă!

Autorităţile franceze au anunţat că cel puţin 15 persoane au fost rănite, dintre care două sunt internate în stare gravă, după ce mai multe fulgere au lovit un festival de muzică din localitatea Azerailles, situată în nord-estul Franţei

Luni, 04.09.2017, 09:51
Coreea de Nord  a testat o bombă nucleară de zece ori mai puternică decât precedenta! Drept răspund, Coreea de Sud a testat rachete balistice

Coreea de Nord a testat o bombă nucleară de zece ori mai puternică decât precedenta! Drept răspund, Coreea de Sud a testat rachete balistice

Coreea de Sud a efectuat luni dimineață manevre implicând rachete balistice, ca răspuns la testul nuclear efectuat de Coreea de Nord, a relatat agenția de presă Yonhap, citată de France Presse. Armata sud-coreeană a întreprins...

Duminica, 03.09.2017, 22:54
Încă o nuntă regală, pe lângă cea a Principelui Nicolae! Prințesa Mako a Japoniei se va căsători cu iubitul ei, Kei Komuro, probabil în toamna anului 2018

Încă o nuntă regală, pe lângă cea a Principelui Nicolae! Prințesa Mako a Japoniei se va căsători cu iubitul ei, Kei Komuro, probabil în toamna anului 2018

Prințesa Mako, nepoata cea mai mare a împăratului Japoniei, Akihito, se va căsători cu iubitul ei, Kei Komuro, probabil în toamna anului 2018, a informat duminică Agenția Casei Imperiale Japoneze, citată de DPA.

Duminica, 03.09.2017, 16:18
Phenianul anunţă că a testat cu succes o bombă cu hidrogen, care poate să fie ataşată unei rachete balistice. Al Treilea Război Mondial, aproape?

Phenianul anunţă că a testat cu succes o bombă cu hidrogen, care poate să fie ataşată unei rachete balistice. Al Treilea Război Mondial, aproape?

Regimul nord-coreean a anunţat duminică dimineaţă că a testat cu succes o nouă bombă cu hidrogen, proiectată tocmai pentru a fi ataşată de noile rachete balistice intercontinentale testate în ultimele luni de către Phenian, relatează BBC.

Duminica, 03.09.2017, 09:59
15 persoane au fost lovite de fulger la un festival de muzică din Franţa

15 persoane au fost lovite de fulger la un festival de muzică din Franţa

15 persoane au fost rănite, după ce au fost lovite de fulger, în nord estul Franţei. Incidentul a avut loc aseră, chiar la un festival de muzică, desfăşurat în aer liber.

Duminica, 03.09.2017, 09:34
Un nou atac cu acid la Londra. Victimă i-a căzut un tânăr de 21 de ani

Un nou atac cu acid la Londra. Victimă i-a căzut un tânăr de 21 de ani

Un nou atac cu acid a avut loc, ieri, în miezul zilei, la Londra. Victimă i-a căzut un tânăr de 21 de ani. Angajat al unei firme de curierat, acesta tocmai se pregătea să livreze un colet când a fost acostat de un biciclist care i-a cerut bani.

Sambata, 02.09.2017, 09:09
Un asteroid cu dimensiuni-record trece aproape de Pământ. Se ia în calcul o eventuală desprindere a unor roci cosmice

Un asteroid cu dimensiuni-record trece aproape de Pământ. Se ia în calcul o eventuală desprindere a unor roci cosmice

Un asteroid cu dimensiuni-record trece, astăzi, aproape de Pământ. Specialiştii i-au dat şi un nume, Florence. Deşi este foarte puţin probabil să ne afecteze planeta, se ia în calcul o eventuală desprindere a unor roci cosmice, care s-ar...

Sambata, 02.09.2017, 08:19
Imagini apocaliptice! O groapă ENORMĂ a apărut în această dimineață într-un cartier foarte aglomerat al Capitalei!

Imagini apocaliptice! O groapă ENORMĂ a apărut în această dimineață într-un cartier foarte aglomerat al Capitalei!

O groapă de şapte metri adâncime şi 10 diametru s-a format joi în centrul Ciudad de Mexico, după ploile abundente din ultimele zile, provocate de furtuna tropicală Lidia

Vineri, 01.09.2017, 18:19
Oficial. De la 1 ianuarie, în Franța, numărul vaccinurilor obligatorii pentru copii va crește la 11!!!

Oficial. De la 1 ianuarie, în Franța, numărul vaccinurilor obligatorii pentru copii va crește la 11!!!

Franţa va mări, începând din 1 ianuarie, numărul vaccinurilor obligatorii pentru copii, de la trei la 11, a anunţat ministrul Sănătăţii de la Paris

Vineri, 01.09.2017, 10:15
Nimeni nu-i dădea nicio șansă de supraviețuire. „Fetița - sirenă” trăiește și este o domnișoară foarte frumoasă!

Nimeni nu-i dădea nicio șansă de supraviețuire. „Fetița - sirenă” trăiește și este o domnișoară foarte frumoasă!

În urmă cu mai bine de 10 ani presa din întreaga lume prezenta cazul micuței Milagros Cerrón, o fetiță care venea pe lume cu o malformație congenitală neobișnuită. Picioarele îi erau lipte de o membrană, iar mușchii și oasele unite ca-ntr-o coadă de sirenă

Vineri, 01.09.2017, 09:39
Încă PATRU zile de concediu! Ideea unei firme face înconjurul lumii: dacă eşti mahmur, ai dreptul să îţi iei liber de la muncă

Încă PATRU zile de concediu! Ideea unei firme face înconjurul lumii: dacă eşti mahmur, ai dreptul să îţi iei liber de la muncă

O firmă londoneză din sectorul muzical oferă angajaților ei câteva zile de concediu "pentru mahmureală", pentru a-i stimula astfel să profite mai mult de viața nocturnă a metropolei britanice și să se odihnească apoi în liniște la domiciliu după petrecerile la care au participat

Vineri, 01.09.2017, 07:55
Sunt 20 de ani fără Lady Diana. Prinţul William şi prinţul Harry au vorbit cu emoţie despre mama lor şi au vizitat fosta ei reşedinţă

Sunt 20 de ani fără Lady Diana. Prinţul William şi prinţul Harry au vorbit cu emoţie despre mama lor şi au vizitat fosta ei reşedinţă

"Doamne, ce s-a întâmplat?" Sunt ultimele cuvinte spuse de prinţesa Diana înainte să moară. Cel care a făcut dezvăluirea este un pompier sosit la locul accidentului în care Diana şi-a găsit sfârşitul exact în urmă cu 20 de ani. Atunci, bărbatul era convins că prinţesa inimilor va supravieţui.

Joi, 31.08.2017, 21:28
Atenționare de călătorie MAE: A fost actualizată lista cu țările care necesită vaccinarea obligatorie împotriva polio-virusurilor

Atenționare de călătorie MAE: A fost actualizată lista cu țările care necesită vaccinarea obligatorie împotriva polio-virusurilor

Organizația Mondială a Sănătății a actualizat lista cu țările pentru care se cere obligatoriu vaccinarea antipoliomelită, astfel: Afganistan, Nigeria, Pakistan, Republica Democratică Congo și Siria, anunță Ministerul Afacerilor Externe.

Joi, 31.08.2017, 16:28
Da, se întâmplă în 2017! Un ZIAR renumit din Venezuela renunţă la ediţia tipărită, din lipsă de hârtie

Da, se întâmplă în 2017! Un ZIAR renumit din Venezuela renunţă la ediţia tipărită, din lipsă de hârtie

Cotidianul venezuelean Ultima Hora, critic faţă de Guvern, a anunţat că îşi suspendă apariţia, pentru că nu are hârtie, după ce a fost timp de 40 de ani, principalul ziar din statul Portuguesa, din nord-vestul ţării latino-americane, relatează AFP.

Joi, 31.08.2017, 10:42
Catedrala Notre Dame are nevoie urgentă de reparaţii! Costurile ar putea ajunge şi până la 100 de milioane de euro

Catedrala Notre Dame are nevoie urgentă de reparaţii! Costurile ar putea ajunge şi până la 100 de milioane de euro

Autorităţile speră însă să atragă donaţii substanţiale pentru a reconsolida celebra catedrală din Franţa.

Miercuri, 30.08.2017, 17:27
Ținuta Melaniei Trump, pentru inundațiile din Texas, a scandalizat mediul online. Tocuri cui și ochelari de aviator: "Puteți să strângeți ruinele rămase cu tocurile"

Ținuta Melaniei Trump, pentru inundațiile din Texas, a scandalizat mediul online. Tocuri cui și ochelari de aviator: "Puteți să strângeți ruinele rămase cu tocurile"

Melania Trump, fostă top-model și Prima doamnă a SUA, a suscitat furia internauților după ce a apărut marți dimineață la Casa Albă în tocuri cui și ochelari de aviator pentru a pleca alături de soțul ei în Texas și a vizita victimele inundațiilor catastrofale provocate de uraganul Harvey.

Miercuri, 30.08.2017, 08:40
Explozia unei ţigări electronice a golit una dintre cele mai aglomerate staţii de metrou din Londra. Oamenii au ieșit în fugă din clădire

Explozia unei ţigări electronice a golit una dintre cele mai aglomerate staţii de metrou din Londra. Oamenii au ieșit în fugă din clădire

Poliţia britanică a evacuat marţi seară staţia de metrou Eurston, din Londra, după o explozie de mici dimensiuni, probabil provocată de o ţigară electronică aflată într-o geantă. Staţia a fost închisă, iar zeci de ofiţeri înarmaţi au fost trimişi la faţa locului.

Miercuri, 30.08.2017, 08:16
”Să furăm este tot ce-am învăţat în viaţă”. O hoață de buzunare și-a dat șeful în vileag, după ce a îndurat nenumărate violențe. Reacția bărbatului, în fața judecătorilor: "Taci din gură, eşti nebună!”

”Să furăm este tot ce-am învăţat în viaţă”. O hoață de buzunare și-a dat șeful în vileag, după ce a îndurat nenumărate violențe. Reacția bărbatului, în fața judecătorilor: "Taci din gură, eşti nebună!”

”Să furăm este tot ce-am învăţat în viaţă”, a declarat marţi, în cursul procesului unei familii de romi români - ai cărei copii erau trimişi să fure de la turişti străini -, o hoaţă spăşită, care a denunţat marţi comportamentul violent al şefului clanului.

Miercuri, 30.08.2017, 08:02
Mark Zuckerberg, fondatorul Facebook, tătic pentru a doua oară. Cu ce mesaj  emoționant a întâmpinat-o pe cea mică: "Numai o dată ai ocazia să fii copil, așa că nu îți irosi timpul"

Mark Zuckerberg, fondatorul Facebook, tătic pentru a doua oară. Cu ce mesaj emoționant a întâmpinat-o pe cea mică: "Numai o dată ai ocazia să fii copil, așa că nu îți irosi timpul"

Mark Zuckerberg, fondatorul Facebook, a prezentat-o lumii pe cea de-a doua fiică a sa prin intermediul unui mesaj publicat luni pe rețeaua de socializare.

Marti, 29.08.2017, 08:45
BREAKING NEWS” Coreea de Nord o lansat o rachetă balistică împotriva Japoniei! „Pulsul” de pe rețelele de socializare: „Începe cel de-Al Treilea Război Mondial?”

BREAKING NEWS” Coreea de Nord o lansat o rachetă balistică împotriva Japoniei! „Pulsul” de pe rețelele de socializare: „Începe cel de-Al Treilea Război Mondial?”

Coreea de Nord a lansat marţi dimineaţa o rachetă, din apropiere de Phenian, care a survolat nordul Japoniei, au anunţat guvernele sud-coreean şi japonez, relatează Reuters.

Marti, 29.08.2017, 03:01
Românii blocați în Lisabona au ajuns acasă! Au stat peste două zile în aeroport, obosiți, nemâncați și dezamăgiți

Românii blocați în Lisabona au ajuns acasă! Au stat peste două zile în aeroport, obosiți, nemâncați și dezamăgiți

Românii blocați în Lisabona au ajuns acasă. 

Luni, 28.08.2017, 23:18
Un asistent medical din Germania este acuzat că a omorât 84 de pacienţi. A făcut-o pentru faimă!

Un asistent medical din Germania este acuzat că a omorât 84 de pacienţi. A făcut-o pentru faimă!

După ce îşi aducea victimele în pragul morţii, încerca să le resusciteze. Din dorinţa de a părea erou, s-a transformat într-unul dintre cei mai mari criminali în serie din istoria Europei.

Luni, 28.08.2017, 20:38
E alertă în Marea Britanie din pricina unui nor toxic de origine nedeterminată. 150 de oameni au fost spitalizaţi

E alertă în Marea Britanie din pricina unui nor toxic de origine nedeterminată. 150 de oameni au fost spitalizaţi

150 de oameni au fost spitalizaţi cu iritaţii ale ochilor şi gâtului, ameţeli şi stări de vomă după ce au inhalat aer contaminat în timp ce se aflau pe o plajă din Sussex, sudul Angliei. Martorii spun că mai întâi au resimţit un puternic...

Luni, 28.08.2017, 20:19
Românii blocaţi de mai bine de 48 de ore în aeroportul din Lisabona pleacă spre casă! Cer să fie despăgubiți!

Românii blocaţi de mai bine de 48 de ore în aeroportul din Lisabona pleacă spre casă! Cer să fie despăgubiți!

Calvarul românilor blocaţi de mai bine de 48 de ore în Lisabona se apropie de final. După două zboruri anulate, ei se pregătesc să se îmbarce în a treia aeronavă, pentru a ajunge acasă. Aproximativ 100 de români sunt în această situaţie iar mulţi din ei au depus sesizări pentru a fi despăgubiţi.

Luni, 28.08.2017, 17:10
Imagini ale dezastrului... Statul Texas a fost nimicit de Harvey, cel mai puternic uragan care a lovit Statele Unite în ultimul deceniu

Imagini ale dezastrului... Statul Texas a fost nimicit de Harvey, cel mai puternic uragan care a lovit Statele Unite în ultimul deceniu

Cel puţin doi oameni au murit, iar pagubele materiale sunt deja uriaşe. Chiar dacă a slăbit în intensitate, uraganul ameninţă acum cu inundaţii catastrofale.

Duminica, 27.08.2017, 21:37
ATENTAT TERORIST Barcelona: Bilanţul creşte la 16 morţi după moartea unei femei de naţionalitate germană

ATENTAT TERORIST Barcelona: Bilanţul creşte la 16 morţi după moartea unei femei de naţionalitate germană

Bilanţul atentatelor teroriste din Spania a crescut la 16 morţi, în urma decesului duminică a unei femei de naţionalitate germană în vârstă de 51 de ani, a anunţat Protecţia Civilă catalană, relatează AFP.

Duminica, 27.08.2017, 15:13
Mare protest de ”respingere a terorismului” la Barcelona. Regele Felipe al VI-lea s-a alăturat manifestanţilor: ”Să umplem străzile cu pace şi libertate”

Mare protest de ”respingere a terorismului” la Barcelona. Regele Felipe al VI-lea s-a alăturat manifestanţilor: ”Să umplem străzile cu pace şi libertate”

O mare manifestaţie de ”respingere a terorismului” avea loc sâmbătă seara la Barcelona, la care participă regele Spaniei, un răspuns faţă de atentatele care s-au soldat cu 15 morţi şi cel puţin 120 de răniţi în Catalonia, relatează AFP.

Sambata, 26.08.2017, 21:37
Accident teribil în Anglia! Opt morţi şi patru răniţi, după o coliziune între două camioane şi un microbuz

Accident teribil în Anglia! Opt morţi şi patru răniţi, după o coliziune între două camioane şi un microbuz

Opt persoane au murit, iar patru au fost rănite după o coliziune între un microbuz şi două camioane, pe o autostradă, în Marea Britanie, relatează The Associated Press.

Sambata, 26.08.2017, 19:13
Turcia nu mai schimbă ora! Decizia a apărut în Monitorul Oficial

Turcia nu mai schimbă ora! Decizia a apărut în Monitorul Oficial

Turcia a decis să mențină în vigoare pe tot parcursul anului regimul orei de vară, care trebuia să se încheie la sfârșitul lunii octombrie, pentru a permite cetățenilor "să beneficieze mai mult de soare".

Sambata, 26.08.2017, 08:25
ULTIMA ORĂ! Cel puţin 12 morţi şi trei dispăruţi în Marea Neagră, după ce un autobuz a căzut de pe un dig

ULTIMA ORĂ! Cel puţin 12 morţi şi trei dispăruţi în Marea Neagră, după ce un autobuz a căzut de pe un dig

Cel puţin 12 persoane au murit, iar trei au fost date dispărute după ce un autobuz la bordul căruia se aflau lucrători în construcţii a căzut de pe un dig, în sudul Rusiei, anunţă Comitetul rus de anchetă, relatează The Assocuated Press.

Vineri, 25.08.2017, 11:20
x