Antena Căutare

Extern

Citeste cele mai noi stiri externe pe A1.ro. Afla primul stirile internationale de ultima ora din diaspora si intreaga lume. Fii la zi cu noutatile din presa.

AMENINȚARE fără precedent la adresa României! Germania face acuzații grave: „Vom lua măsuri”

AMENINȚARE fără precedent la adresa României! Germania face acuzații grave: „Vom lua măsuri”

Declarațiile halucinante din ultima perioadă ale unor lideri PSD s-au auzit până în Germania, care deja a început să trasnmită mesaje cu subînțeles către cei care conduc România astăzi.

Miercuri, 26.09.2018, 08:14
Vremea severă face victime! Cel puțin 141 de morți, în urma inundațiilor devastatoare! Meteorologii anunță că ploile torențiale nu se opresc

Vremea severă face victime! Cel puțin 141 de morți, în urma inundațiilor devastatoare! Meteorologii anunță că ploile torențiale nu se opresc

Cel puțin 141 de persoane și-au pierdut viețile în urma inundațiilor din Nigeria, ce au fost provocate de ploile torențial din ultima perioadă. Meteorologii au, însă, vești proaste, întrucât la mijlocul săptămânii este posibil ca vremea severă să se intensifice. 

Marti, 25.09.2018, 16:04
Biserica se cutremură din temelii! Papa Francisc dezvăluie un adevăr CUMPLIT despre creștini

Biserica se cutremură din temelii! Papa Francisc dezvăluie un adevăr CUMPLIT despre creștini

Biserica se cutremură din temelii și se confruntă cu o situație fără precedent. Papa Francisc a făcut recent o dezvăluire ce a stârnit o adevărată controversă!

Marti, 25.09.2018, 16:04
Europa în pericol? „Ne așteptăm să explodeze! În acel moment vor fi afectați milioane de oameni!”

Europa în pericol? „Ne așteptăm să explodeze! În acel moment vor fi afectați milioane de oameni!”

Vulcanul Katla din Islanda ar putea erupe curând pentru prima oară în ultimii 100 de ani. Anterior, vulcanul a fost identificat ca fiind unul dintre cei mai activi vulcani din Islanda. Nivelul activităţii fiind tot mai crescut după cutremurele din zonă ce au avut loc în 2017

Marti, 25.09.2018, 14:28
Atenționare de maximă importanță pentru românii din două țări străine! PERICOL extrem în următoarea perioadă

Atenționare de maximă importanță pentru românii din două țări străine! PERICOL extrem în următoarea perioadă

În Ucraina sunt prognozate ploi severe, vânt puternic şi scădere drastică a temperaturilor, iar în unele zone se aşteaptă chiar îngheţ la suprafaţa solului, în timp ce în Grecia se menţine ridicat riscul de producere a unor incendii de vegetaţie, conform unei atenționări de călătorie emise de MAE.

Marti, 25.09.2018, 09:03
Nu e nicio glumă. Au fost găsite fructe CONTAMINATE în supermarket: „Clienții pot înapoia fructele”

Nu e nicio glumă. Au fost găsite fructe CONTAMINATE în supermarket: „Clienții pot înapoia fructele”

Lanţul de supermarketuri Countdown a anunţat că a retras de la vânzare o marcă de căpşuni australiană după ce a descoperit că fructele au fost contaminate cu ace de cusut

Luni, 24.09.2018, 09:20
Un CUTREMUR puternic a lovit Republica Dominicană! A făcut DEZASTRU la un spital și la mai multe școli

Un CUTREMUR puternic a lovit Republica Dominicană! A făcut DEZASTRU la un spital și la mai multe școli

Un cutremur cu magnitudinea de 5,1 grade pe scara Richter s-a produs duminică noapte în nordul-estul Republicii Dominicane, provocând pagube la un spital şi la zece şcoli din zonă.

Luni, 24.09.2018, 08:21
Celula de CRIZĂ a fost activată! Un cetăţean ROMÂN se află printre marinarii răpiţi în largul Nigeriei, de PIRAȚI

Celula de CRIZĂ a fost activată! Un cetăţean ROMÂN se află printre marinarii răpiţi în largul Nigeriei, de PIRAȚI

Ministerul Afacerilor Externe confirmă că un cetăţean român se află între cei 12 membri ai echipajului de pe o navă elveţiană răpiţi în largul Nigeriei, fiind afectată Celula de criză.

Duminica, 23.09.2018, 23:21
O româncă a pus serviciile secrete americane pe JAR! Cum arată SEXY hackerița

O româncă a pus serviciile secrete americane pe JAR! Cum arată SEXY hackerița

Românca-hacker care a piratat sistemul de control al camerelor de supraveghere din Washington, înaintea învestiturii lui Donald Trump, a pledat vinovat în faţa judecătorilor americani.

Duminica, 23.09.2018, 15:37
Cutremur de 6,4 grade pe scara Richter, în această dimineață! Ce anunță specialiștii

Cutremur de 6,4 grade pe scara Richter, în această dimineață! Ce anunță specialiștii

Cutremur puternic produs în această dimineață. Un seism cu magnitudinea de 6,4 pe scara Richter a fost înregistrat de specialiști. Unde s-a produs și ce anunță autoritățile

Duminica, 23.09.2018, 11:28
Un nou RĂZBOI, pe punctul de-a izbucni! „Răspunsul nostru ca țară va fi unul TERIBIL”

Un nou RĂZBOI, pe punctul de-a izbucni! „Răspunsul nostru ca țară va fi unul TERIBIL”

La scurt timp de la producerea unui cumplit atac armat din timpul unei parade militare, liderul iranian Hassan Rohani a făcut o declarație extrem de dură, prin care amenință țara sa va da un răspuns „teribil” după acest incident!

Sambata, 22.09.2018, 17:18
Creștinii trăiesc un moment ISTORIC! Ce a recunoscut Papa Francisc

Creștinii trăiesc un moment ISTORIC! Ce a recunoscut Papa Francisc

Creștinii din întreaga lume trăiesc în această perioadă un adevărat moment istoric. Recent, Vaticanul a făcut un anunț ce a fost așteptat cu sufletul la gură de numeroși credincioși! Ce a recunoscut Papa Francisc?

Sambata, 22.09.2018, 16:55
Atac armat SÂNGEROS! Sunt 29 de morți și zeci de răniți

Atac armat SÂNGEROS! Sunt 29 de morți și zeci de răniți

Atac armat chiar în timpul unei parade militare! 29 persoane au murit și alte zeci au fost rănite în incident. Atacatorii au deschis focul într-un parc în apropierea paradei, ei fiind îmbrăcaţi în uniforme militare.

Sambata, 22.09.2018, 10:21
Caz HALUCINANT în SUA! O femeie a fost arestată pentru furt, după ce i-a confiscat telefonul fiicei sale. Cum a fost posibil

Caz HALUCINANT în SUA! O femeie a fost arestată pentru furt, după ce i-a confiscat telefonul fiicei sale. Cum a fost posibil

O femeie din Statele Unite ale Americii a fost arestată pentru furt, după ce i-a confiscat telefonul mobil fiicei sale.

Vineri, 21.09.2018, 14:23
Opt români, implicați într-un ACCIDENT CUMPLIT în Slovacia! Au fost loviți de un TIR

Opt români, implicați într-un ACCIDENT CUMPLIT în Slovacia! Au fost loviți de un TIR

Opt români au fost implicaţi într-un accident de circulaţie grav care a avut loc pe o şosea din Slovacia. Cinci dintre ei au fost răniţi, după ce microbuzul în care se aflau a fost lovit de un TIR.

Vineri, 21.09.2018, 14:05
Coşmar în Olanda! Patru copilaşi au murit spulberaţi de un tren. Micuţii erau în drum spre şcoală ”Este o zi teribil de neagră. Nu am mai văzut aşa ceva”

Coşmar în Olanda! Patru copilaşi au murit spulberaţi de un tren. Micuţii erau în drum spre şcoală ”Este o zi teribil de neagră. Nu am mai văzut aşa ceva”

Patru copii au fost ucişi joi într-o coliziune între un tren şi o bicicletă cu ladă de transport pe drumul de la o grădiţină către o şcoală - ”coşmarul tuturor părinţilor” devenit realitate consideră olandezii, relatează AFP.

Vineri, 21.09.2018, 08:43
Șapte oameni, printre care şi copii, au căzut victime unui atac armat în New York

Șapte oameni, printre care şi copii, au căzut victime unui atac armat în New York

Au fost momente de groază pentru șapte oameni, printre care şi copii, după ce au fost împuşcaţi joi în oraşul Syaracuse din statul american New York, a anunţat sindicatul pompierilor prin reţelele sociale preluate de Reuters.

Vineri, 21.09.2018, 08:01
Accident CUMPLIT! Peste 42 de persoane au murit după ce un feribot s-a scufundat

Accident CUMPLIT! Peste 42 de persoane au murit după ce un feribot s-a scufundat

Un accident cumplit s-a produs în cursul zilei de joi, după ce un feribot s-a scufundat și mai bine de 42 de persoane și-au pierdut viața! Operațiunea de salvare a fost întreruptă până vineri dimineața, potrivit autorităților.

Joi, 20.09.2018, 23:19
Atac ARMAT sângeros! Trei persoane au murit și alte patru sunt rănite

Atac ARMAT sângeros! Trei persoane au murit și alte patru sunt rănite

Incident armat în cursul zilei de joi! Potrivit primelor informații oferite de Poliție, numeroase persoane sunt rănite și alte trei și-au pierdut viața!

Joi, 20.09.2018, 20:36
VIDEO. Vladimir Putin şi-a demonstrat abilităţile de LUNETIST! Imaginile au făcut înconjurul lumii

VIDEO. Vladimir Putin şi-a demonstrat abilităţile de LUNETIST! Imaginile au făcut înconjurul lumii

Producătorul de arme Kalashnikov a lansat un nou model de puşcă. Cine ar fi fost mai potrivit pentru a testa noua armă decât preşedintele rus, Vladimir Putin?

Joi, 20.09.2018, 17:46
REVOLTĂTOR! Peste 300 de cadavre erau păstrate într-un CAMION şi plimbate dintr-un cartier în altul, în Mexic

REVOLTĂTOR! Peste 300 de cadavre erau păstrate într-un CAMION şi plimbate dintr-un cartier în altul, în Mexic

Un camion frigorific cu aproape 300 de cadavre la bord, a fost mutat dintr-un cartier sărac în altul, din cauza plângerilor locuitorilor faţă de mirosul pe care-l emana, în contextul în care criminalitatea în Mexic a ajuns să umple morgile, relatează AFP.

Joi, 20.09.2018, 14:01
Un bărbat a murit, după ce s-a împuşcat singur. NU a fost sinucidere! Voia să testeze o vestă antiglonţ - VIDEO

Un bărbat a murit, după ce s-a împuşcat singur. NU a fost sinucidere! Voia să testeze o vestă antiglonţ - VIDEO

Un tânăr din zona Donbass, o regiune din Ucraina disputată de ruşi şi ucrainieni, a murit în urma unui "test" eşuat. Bărbatul a vrut să demonstreze că o vestă antiglonţ poate face faţă unui...glonţ.

Joi, 20.09.2018, 13:37
Panică generală fără precedent! 21 de persoane AU MURIT și alte zeci sunt în spital. Criză în Malaezia!

Panică generală fără precedent! 21 de persoane AU MURIT și alte zeci sunt în spital. Criză în Malaezia!

Poliţia malaeziană investighează cazul morţii a 21 de persoane şi spitalizarea altor zeci, pe fondul intoxicaţiei cu alcool, informează Reuters.

Miercuri, 19.09.2018, 17:10
Este HAOS în Australia, după ce s-au găsit ACE DE CUSUT în interiorul căpșunilor de pe piață. Prima arestare, astăzi!

Este HAOS în Australia, după ce s-au găsit ACE DE CUSUT în interiorul căpșunilor de pe piață. Prima arestare, astăzi!

Autoritățile din Australia oferă recompensă pentru orice informație ce ar duce la soluționarea unui caz bizar: găsirea unor ace de cusut în căpșunile vândute în supermarketuri. Astăzi a fost făcută prima arestare, un băiat recunoscând că este în spatele acestei ”farse”.

Miercuri, 19.09.2018, 15:47
ATAC în Londra! Un vehicul a lovit mai mulţi pietoni în fața unei moschei. Persoanele responsabile de atac au fugit de la locul faptei

ATAC în Londra! Un vehicul a lovit mai mulţi pietoni în fața unei moschei. Persoanele responsabile de atac au fugit de la locul faptei

Poliţia britanică a informat că trei persoane au fost transportate la spital, după ce un vehicul a lovit mai mulţi pietoni aflaţi în faţa unei moschei din partea de nord-vest a Londrei, a relatat miercuri postul de radio LBC, citat de Reuters.

Miercuri, 19.09.2018, 12:52
Anunț de maximă IMPORTANȚĂ! Condiții meteorologice PERICULOASE într-o țară din Europa. Românii care se află acolo trebuie să fie în alertă

Anunț de maximă IMPORTANȚĂ! Condiții meteorologice PERICULOASE într-o țară din Europa. Românii care se află acolo trebuie să fie în alertă

Ministerul Afacerilor Externe a făcut, miercuri, un anunț pentru cetăţenii români care se află, tranzitează sau intenţionează să călătorească în Irlanda, potrivit căruia, începând de miercuri, serviciul de meteorologie din această țară a emis o alertă de vânt puternic, cod portocaliu.

Miercuri, 19.09.2018, 09:13
Un muncitor a murit şi alţi 11 sunt răniţi după ce o schelă de mari dimensiuni s-a prăbuşit, la un hotel de lux din Madrid. Pe șantier lucrau cetățeni din mai multe țări

Un muncitor a murit şi alţi 11 sunt răniţi după ce o schelă de mari dimensiuni s-a prăbuşit, la un hotel de lux din Madrid. Pe șantier lucrau cetățeni din mai multe țări

O persoană a decedat, iar 11 au fost rănite după ce schelele de pe hotelul Ritz din Madrid s-au prăbuşit. Teribilul accident s-a produs în curtea interioară a clădirii, în cursul unei operaţiuni de demolare. Un element metalic de la etajul şase s-a desprins şi a antrenat, în cădere, întreaga schelă pe care se aflau, în acel moment, aproximativ o sută de muncitori.

Miercuri, 19.09.2018, 09:12
Siria afectată de un incident militar grav

Siria afectată de un incident militar grav

Un avion militar rusesc a fost doborât de forțele regimului sirian pe când zbura pe deasupra Mării Mediterane.

Marti, 18.09.2018, 16:21
PANICĂ la metroul din Madrid! A fost ALERTĂ cu BOMBĂ

PANICĂ la metroul din Madrid! A fost ALERTĂ cu BOMBĂ

O alertă cu bombă a fost dată la metroul din Madrid, iar șase pasageri au fost răniţi în urma unei explozii care ulterior a provocat şi un incendiu. Cauza exploziei a fost, însă, alta.

Marti, 18.09.2018, 14:35
33 de ani de la Cutremurul din 1985 și 1 an de la Cutremurul din 2017 din Mexic

33 de ani de la Cutremurul din 1985 și 1 an de la Cutremurul din 2017 din Mexic

Mii de oameni și-au pierdut viața în urma cutremurului din 1985 care a avut o intensitate ridicată, măsurând o magnitudine de 8,1 pe scara Richter. Mâine, 19 septembrie, se comemorează 33 de ani de la această dramă.

Marti, 18.09.2018, 14:09
Gestul revoltător făcut de președintele Venezuelei în plină criză economică: “Ceri un împrumut Chinei pentru că n-ai bani să-ţi plăteşti datoriile, şi tu te duci să...”

Gestul revoltător făcut de președintele Venezuelei în plină criză economică: “Ceri un împrumut Chinei pentru că n-ai bani să-ţi plăteşti datoriile, şi tu te duci să...”

Președintele venezuelean Nicolas Maduro a reușit să provoace indignare după ce înregistrări video în care e surprins în timp ce se infruptă din bucăti suculente de carne într-un restaurant de lux din Istanbul, au apărut în mediul online, asta în timp de Venezuela se află în plină criză economică.

Marti, 18.09.2018, 13:38
Ce se întâmplă cu ora de iarnă? Anunțul făcut de Comisia Europeană

Ce se întâmplă cu ora de iarnă? Anunțul făcut de Comisia Europeană

România ar putea să nu mai dea ora înapoi luna viitoare, așa cum ar fi trebuit, în ultima sâmbătă din octombrie. Comisia Europeană a propus renunţarea la schimbarea sezonieră a orei în Europa în 2019, oferind statelor membre libertatea de a decide odată pentru totdeauna dacă doresc să aplice în mod permanent ora de vară sau de iarnă.

Marti, 18.09.2018, 10:38
Cel puțin 19 morţi într-un accident rutier în care a fost implicat un autobuz. Scene de groază în Iran

Cel puțin 19 morţi într-un accident rutier în care a fost implicat un autobuz. Scene de groază în Iran

Nouăsprezece persoane şi-au pierdut viaţa în noaptea de luni spre marţi în coliziunea dintre un autobuz şi un camion cisternă în centrul Iranului, a anunţat televiziunea de stat iraniană IRINN, relatează AFP.

Marti, 18.09.2018, 10:23
Meghan Markle îi calcă pe urme Prințesei Diana! Ducesa a realizat primul său proiect caritabil individual, precum o făcea și Diana cândva

Meghan Markle îi calcă pe urme Prințesei Diana! Ducesa a realizat primul său proiect caritabil individual, precum o făcea și Diana cândva

Meghan Markle, ducesă de Sussex, a realizat primul său proiect caritabil individual de când a devenit membru al familiei regale britanice. Soția prințului Harry a ajutat la realizarea unei cărți de bucate realizate de familiile supraviețuitoare din Grenfell Tower, blocul din Londra care a ars anul trecut.

Marti, 18.09.2018, 08:42
Imagini șocante. O femeie își bate adepții și le ordonă să se lovească reciproc! (VIDEO)

Imagini șocante. O femeie își bate adepții și le ordonă să se lovească reciproc! (VIDEO)

Imagini video arată cum liderul unui cult din Coreea de Sud îşi agresează adepţii şi le ordonă să se agreseze unii pe alţii.

Luni, 17.09.2018, 17:17
Descoperire ULUITOARE în Egipt! Ce se ascundea într-un templu – FOTO

Descoperire ULUITOARE în Egipt! Ce se ascundea într-un templu – FOTO

Un sfinx din gresie ce datează cel mai probabil din timpul Dinastiei Ptolemeice a fost descoperit de arheologii care drenau apa dintr-un templu aflat în Aswan, un oraş din sudul Egiptului.

Luni, 17.09.2018, 12:52
TRAGEDIE în China! Taifunul Mangkhut a făcut primele victime. Au avut morți CUMPLITE

TRAGEDIE în China! Taifunul Mangkhut a făcut primele victime. Au avut morți CUMPLITE

Patru persoane au murit din cauza taifunului Mangkhut, în provincia Guangdong din sudul Chinei, au informat luni autorităţile locale.

Luni, 17.09.2018, 10:13
Au început BOMBARDAMENTELE! Sediul unui post de radio a fost ţinta unui atac aerian. Se numără MORŢII

Au început BOMBARDAMENTELE! Sediul unui post de radio a fost ţinta unui atac aerian. Se numără MORŢII

Patru persoane au murit, duminică, în urma unui atac aerian care a avut ca ţintă un post de radio oraşul Hodeidah, din Yemen.

Duminica, 16.09.2018, 16:36
Alertă cu BOMBĂ! Bulevardul Champs Elysees a fost ÎNCHIS de POLIȚIE

Alertă cu BOMBĂ! Bulevardul Champs Elysees a fost ÎNCHIS de POLIȚIE

Poliţia franceză a închis duminică o parte din bulevardul parizian Champs Elysees pentru a verifica un vehicul în care se credea că ar fi fost pus un dispozitiv exploziv.

Duminica, 16.09.2018, 15:44
VIDEO. Imagini APOCALIPTICE! Taifunul a ajuns în China și SPULBERĂ tot ce îi iese în cale

VIDEO. Imagini APOCALIPTICE! Taifunul a ajuns în China și SPULBERĂ tot ce îi iese în cale

Bilanţul victimelor taifunului Mangkhut în Filipine a urcat la 29 de decese şi 13 persoane dispărute, a precizat un oficial guvernamental, potrivit dpa. Taifunul se îndrepta duminică spre Hong Kong şi Macao.

Duminica, 16.09.2018, 12:19
Cel puțin TREI MORȚI și șapte răniți,într-o zonă turistică din Mexic. Detaliile atacului sunt ȘOCANTE: cum s-au ”deghizat” suspecții

Cel puțin TREI MORȚI și șapte răniți,într-o zonă turistică din Mexic. Detaliile atacului sunt ȘOCANTE: cum s-au ”deghizat” suspecții

Trei persoane au murit şi alte patru au fost rănite, vineri, într-un atac armat într-o zonă turistică din Ciudad de Mexico, a anunţat poliţia locală, potrivit Reuters.

Sambata, 15.09.2018, 09:34
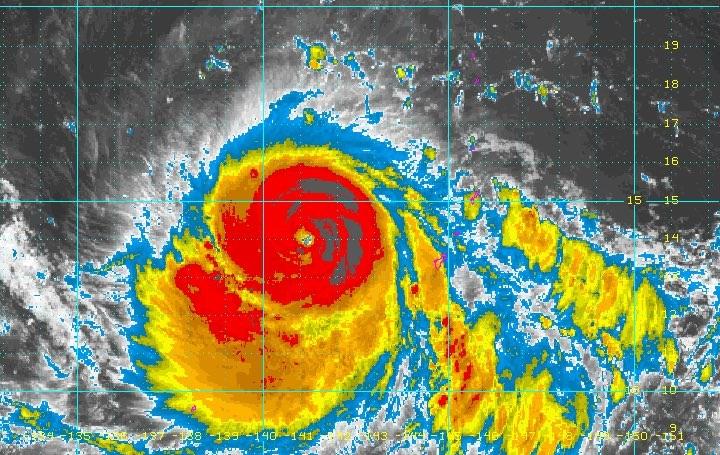
Atenționare de maximă importanță de la MAE! Natura se DEZLĂNȚUIE și în această țară, nu doar în SUA

Atenționare de maximă importanță de la MAE! Natura se DEZLĂNȚUIE și în această țară, nu doar în SUA

În regiunile administrative speciale Hong Kong şi Macao din Republica Populară Chineză, taifunul Mangkhut, echivalentul unui uragan de categoria 5, a evoluat rapid în ultimele zile, atingând gradul 10 (pe o scară de la 1 la 10), având un diametru de aproximativ 900 km.

Vineri, 14.09.2018, 21:31
O pictură a britanicului David Hockney, scoasă la licitaţie pentru suma record de 80 de milioane de dolari

O pictură a britanicului David Hockney, scoasă la licitaţie pentru suma record de 80 de milioane de dolari

O pictură a britanicului David Hockney ar putea deveni cea mai scumpă lucrare a unui artist în viaţă vândută vreodată la licitaţie.

Vineri, 14.09.2018, 21:28
Gata, uraganul Florence a început să facă PRĂPĂD! „Ne distruge statul”

Gata, uraganul Florence a început să facă PRĂPĂD! „Ne distruge statul”

Uraganul Florence este pe cale să devasteze Carolina de Nord, potrivit guvernatorului acestui stat american. Taifunul a atins uscatul în zori, aducând ploi torenţiale, vânturi violente şi generând inundaţii.

Vineri, 14.09.2018, 20:39
Sute de persoane au fost evacuate în apropiere de Boston din cauza a trei incendii DEVASTATOARE! Cel puțin o persoană a decedat, iar alte 12 au fost rănite în peste 70 de explozii

Sute de persoane au fost evacuate în apropiere de Boston din cauza a trei incendii DEVASTATOARE! Cel puțin o persoană a decedat, iar alte 12 au fost rănite în peste 70 de explozii

Clipe de groază pentru sute de persoane din statul american Massachusetts. Cel puţîn o persoană a decedat, iar alte 12 au fost rănite în peste 70 de explozii şi incendii din trei oraşe situate în apropierea oraşului Boston, relatează Reuters.

Vineri, 14.09.2018, 08:43
Piloții din cinci țări ai unei celebre companii aeriene vor organiza o grevă de 24 de ore! Iată în ce zi va avea loc și ce zboruri vor fi afectate

Piloții din cinci țări ai unei celebre companii aeriene vor organiza o grevă de 24 de ore! Iată în ce zi va avea loc și ce zboruri vor fi afectate

Piloţii companiei aeriene Ryanair din Belgia, Italia, Olanda, Portugalia şi Spania vor organiza o grevă de 24 de ore în data de 28 septembrie pentru a pune presiune pe companie să accepte contracte induviduale la nivel local, relatează Reuters.

Vineri, 14.09.2018, 08:20
Imagini SPECTACULOASE cu uraganul Florence, publicate de NASA. Teribilul impact este foarte aproape - VIDEO

Imagini SPECTACULOASE cu uraganul Florence, publicate de NASA. Teribilul impact este foarte aproape - VIDEO

Imagini video cu uraganul Florence, care va lovi curând Coasta de Est a Statelor Unite ale Americii, au fost surprinse de Staţia Spaţială Internaţională (SSI) și publicate de NASA. Aproape 1,7 milioane de persoane au fost avertizate să se adăpostească.

Joi, 13.09.2018, 23:40
Doi români, implicați într-un caz de SCALVIE în Italia. Cum și-ar fi exploatat victimele, dintre care una a murit

Doi români, implicați într-un caz de SCALVIE în Italia. Cum și-ar fi exploatat victimele, dintre care una a murit

Doi români și un italian au fost arestați în Italia, într-un caz de sclavie care a fost anchetat timp de un an. Peste 30 de persoane angajate în agricultură și construcții, din România, dar și din Albania, ar fi fost victimele acestei rețele. Dintre acestea, una a murit pe un câmp, în timpul muncii.

Joi, 13.09.2018, 18:57
Este ALERTĂ sanitară! Holera face RAVAGII în Zimbabwe. Cauzele care complică totul

Este ALERTĂ sanitară! Holera face RAVAGII în Zimbabwe. Cauzele care complică totul

Epidemia de holeră din Zimbabwe s-a răspândit din capitala Harare în mai multe regiuni ale ţării, provocând până în prezent moartea a 24 de persoane. Între cauzele care complică situația din această țară se numără și o penurie de medicamente.

Joi, 13.09.2018, 16:44
Stânci prăbuşite pe o plajă preferată de români! Mai mulți turiști au fost răniți

Stânci prăbuşite pe o plajă preferată de români! Mai mulți turiști au fost răniți

Au fost momente de panică pe celebra plajă Navagio din insula Zakynthos, una dintre cele mai populare atracţii turistice din Grecia. O familie de cehi, între care doi copii, şi un alt turist străin au fost răniţi în urma unei...

Joi, 13.09.2018, 16:19
x